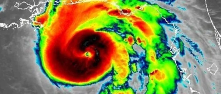
On October 10, 2018 Hurricane Michael made landfall in the panhandle region Florida. The peak winds of 155mph wrought havoc throughout the area, devastating homes and businesses. We are collecting funds to provide immediate and long-term relief to members affected by this storm. Any funds collected beyond those necessary will be allocated to the community or other relief efforts.
